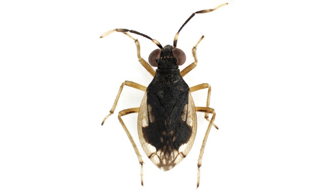
モンシロミズギワカメムシ
Chartoscirta elegantula longicornis (Jakovlev) 【 ミズギワカメムシ科 】
愛媛県カテゴリー
絶滅危惧2類(VU)
環境省カテゴリー
---

| 種の特徴 | 体長3.0〜3.9㎜。体はやや細長く、体表は細い毛で覆われる。複眼が大きく、黄白色をした触角第4節が目立つ。脚は黄褐色で脛節と跗節の先端部は黒褐色。湿地に生えるガマなどの抽水植物群落の地表で見られ、小昆虫を捕食すると考えられている。県内ではヒメアカネやコオイムシなどと共に見つかっている。 |
|---|---|
| 分 布 | 県内:上島町(岩城島)。 県外:本州、四国(徳島県)、九州;シベリア、ヨーロッパ。 |
| 生息状況 選定理由 |
県内では2011年に岩城島の湿地で初めて発見された。近年、県内の広い範囲で実施したため池や湿地、休耕田などの調査では全く発見されなかったことから、本種の生息地および生息数は少ないと考えられる。生息地は遷移が進みやすく、埋め立てやほ場整備などの開発が行なわれやすい環境であるため、今後、個体数が減少していく可能性は高い。なお、栃木県と埼玉県では準絶滅危惧種に、福井県においては要注目種に指定されている。 |
| 特記事項 | --- |
| 地方名 | --- |
撮影者:武智礼央 執筆者: 武智礼央
