コニワハンミョウ
Cicindela transbaicalia japanensis Chaudoir 【 オサムシ科 】
愛媛県カテゴリー
絶滅危惧2類(VU)
環境省カテゴリー
---

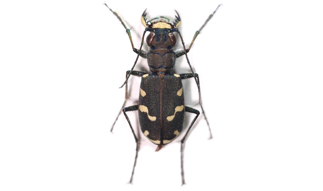
| 種の特徴 | 体長10〜13㎜。光沢のない緑銅色をしており上翅には白斑紋がある。同属のミヤマハンミョウやニワハンミョウなどとは、上翅の斑紋や体長の違いなどで区別できる。平地から山地の日当たりのよい河川敷や海岸などの砂地に生息し、稀に畑地にある小規模な砂地でも見られる。 |
|---|---|
| 分 布 | 県内:松山市、東温市。 県外:北海道、本州、四国、九州。 |
| 生息状況 選定理由 |
過去の記録は少ないが、1970年代前半までは、松山市のいくつかの島嶼部や重信川周辺などで見つかっており、1990年代に東温市の上木地の重信川上流河川敷に生息しているのが確認されたのが最後の記録である。生息地の埋め立てや護岸工事、河川敷の整備などが主な減少理由だが、河川や海水の汚濁により本種に適した砂地が失われたことも影響していると考えられる。香川県で準絶滅危惧種、鹿児島県では情報不足に指定されている。 |
| 特記事項 | --- |
| 地方名 | --- |
撮影者:武智礼央 執筆者: 酒井雅博、武智礼央
