オオクビボソムシ
Stereopalpus gigas (Marseul) 【 アリモドキ科 】
愛媛県カテゴリー
絶滅危惧2類(VU)
環境省カテゴリー
---

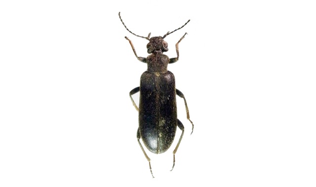
| 種の特徴 | 体長6.5〜10㎜。 黒色で脚の色に変異がある。頭部はおむすび型で大きな複眼を持つ。生態は未知であるが、春の比較的短い期間に出現し、河川敷の低木の葉上で発見されることが多い。ヤナギの花に集まることがあり、その時は多くの個体が見つかるが、普段は稀である。活発に走り回る。 |
|---|---|
| 分 布 | 県内:久万高原町、大洲市。 県外:本州、四国、九州。 |
| 生息状況 選定理由 |
最近では肱川の河川敷に生息していることが分かっているが生息数は多くない。河川敷は防災工事等で頻繁に人為的なかく乱を受け、またそこに生える木本類は洪水対策上の理由から伐採されることが多い。そのため多くの昆虫が絶滅危惧状態にあるが、本種もその危険性が指摘される。 |
| 特記事項 | --- |
| 地方名 | --- |
撮影者:酒井雅博 執筆者: 酒井雅博
