ズイムシハナカメムシ
Lyctocoris beneficus (Hiura)【 ハナカメムシ科 】
愛媛県カテゴリー
準絶滅危惧(NT)
環境省カテゴリー
準絶滅危惧(NT)

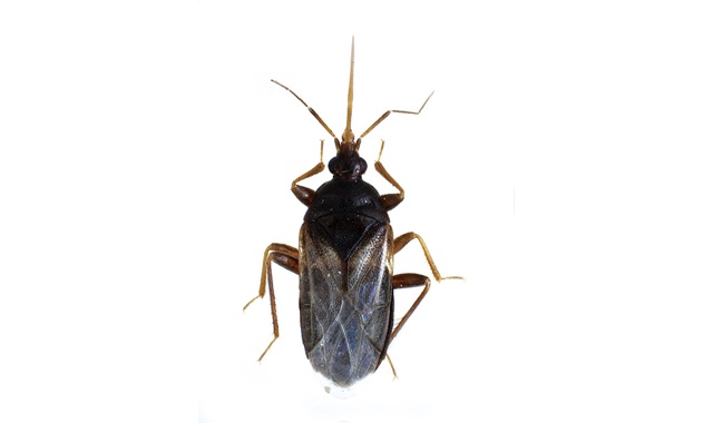
| 種の特徴 | 体長は3.8〜4.2㎜。体は暗褐色で、光沢がある。ハナカメムシ科としては大型でがっしりとしている。低地および低山地の木陰にある稲わらや積まれた枝の中に棲み、小昆虫を捕食する。イネの大害虫であったニカメイガ(ズイムシ)の天敵として研究された。 |
|---|---|
| 分 布 | 県内:今治市、松山市(旧松山市、旧北条市)、東温市、大洲市。 県外:本州、四国、九州;ロシア沿岸州、朝鮮半島、中国大陸。 |
| 生息状況 選定理由 |
かつては各地に普通であったが、現在の分布は局所的。近年では山手の地面に積まれた粗朶の中や、クリ畑に敷かれた稲わらの中から発見される。里地における減少は、イネの品種改良や刈り取り方法の変更、敷きわら利用の減少、さらに有効な農薬の普及等により餌となるニカメイガが激減したことが主な要因と考えられる。 |
| 特記事項 | 里山を象徴する昆虫の一つである。 |
| 地方名 | --- |
撮影者:武智礼央 執筆者: 武智礼央
