キオビホソナガクチキ
Phloiotrya flavitarsis (Lewis) 【 ナガクチキムシ科 】
愛媛県カテゴリー
準絶滅危惧(NT)
環境省カテゴリー
---

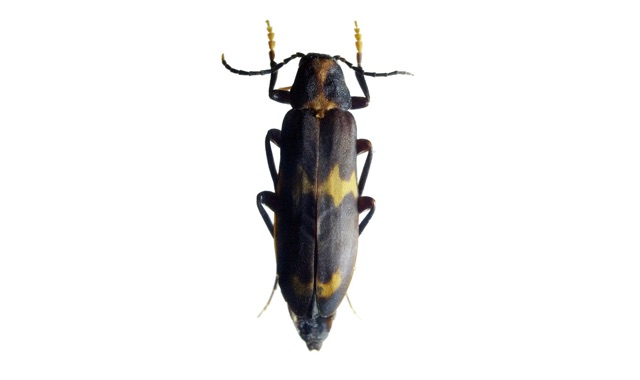
| 種の特徴 | 体長約7.5〜15㎜。体は褐色。前胸背板正中に橙色の縦紋があり、前縁と後縁部で横に広がる。上翅中央より前に橙色の横帯、後方付近に1対の紋がある。 |
|---|---|
| 分 布 | 県内:西条市、東温市、松山市、久万高原町、内子町。 県外:北海道、本州、四国、九州。 |
| 生息状況 選定理由 |
温帯自然林の指標種的な存在で、かつては、ブナなどの立ち枯れ、倒木に最も普通のナガクチキムシ科の種であったが、数年前から顕著な減少傾向が見られるようになってきた。その原因が、一過性のものなのか、近年の気温上昇を含む環境悪化に起因するものなのか不明である。 |
| 特記事項 | --- |
| 地方名 | --- |
撮影者:酒井雅博 執筆者: 石川春子、酒井雅博
