ヒゲブトハナカミキリ
Pachypidonia bodemeyeri Pic 【 カミキリムシ科 】
愛媛県カテゴリー
情報不足(DD)
環境省カテゴリー
---

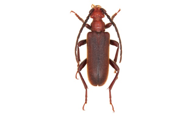
| 種の特徴 | 体長13〜14㎜。頭部と前胸は赤褐色、上翅は黒いが、基部と小楯板はときに赤褐色。成虫は7〜8月に出現し、ノリウツギなどにも稀に訪花するが、樹洞性が強く、ブナなどの樹洞内や幹を這っている個体が発見される。 |
|---|---|
| 分 布 | 県内:石鎚山系、四国カルスト。 県外:北海道、本州、四国、九州。 |
| 生息状況 選定理由 |
県下ではこれまで数例の採集例しか知られておらず、詳しい生息状況は不明である。しかし、特殊な環境に依存しており、個体数も多くないため、環境悪化などによる発生地の分断や個体群の消滅が懸念される。 |
| 特記事項 | --- |
| 地方名 | --- |
撮影者:大林延夫 執筆者: 山迫淳介
